Maximale Intensität
IF1 (~ 150 km/h)
Datum & Uhrzeit
03.09.2025 | 21:40 MESZ
Personenschäden
Keine
Betroffener Bereich
≥ 1.7 Kilometer lang
~ 30 Meter breit (max.)
SW - NO
Betroffene Orte
(Bocholt) Mussum
Am Abend kam es im Süden von Bocholt (Ortsteil Mussum) zu auffälligen, punktuell auftretenden Schäden, die sich entlang einer etwa 1.7 Kilometer langen Schneise erstrecken. Am «Loikumer Weg» (51.804, 6.593) wurde eine Pappel am Wurzelansatz abgeknickt und stürzte in nordwestlicher Richtung auf den Weg (s. Bild 1 - TSA/1: IF1). Die Schneise kreuzt anschließend den «Vennweg» (51.808, 6.597), entlang dessen sich eine Baumreihe befindet. Innerhalb dieser Baumreihe verlor ein einzelner Baum zahlreiche, teils große Äste, während die benachbarten Bäume unbeschädigt blieben (s. Bild 2-3 - TRA/2: IF1). Die abgeknickten Äste wurden nordostwärts auf das angrenzende Feld verfrachtet (s. Bild 3).
(Bild 1-3 - ©Jörg Ölsner (fotomensch.de))
Im Wohngebiet kam es zunächst in der «Beethovenstraße» (51.811, 6.605) zu ersten Schäden, wo ein Baum entwurzelt wurde und in nordnordwestliche Richtung fiel (s. Bild 4 - TRW/3: ≥IF0.5). Am «Böhmkesweg» (51.815, 6.607) setzt anschließend eine schmale und äußerst konzentrierte Schadensschneise ein, in der durchgehend Sach- und Vegetationsschäden auftraten. Zunächst wurde ein Ast in nordöstliche Richtung abgeknickt, ein Bauzaun umgeworfen und ein Segment dabei stark verbogen (siehe Bild 5 - TRA/1: IF0.5), zudem wurden Mülltonnen in nordwestliche Richtung verfrachtet. Die Schneise setzt sich zwischen zwei Häusern hindurch in einen angrenzenden Garten fort, wo mehrere Zaunsegmente innerhalb eines abgegrenzten Bereichs in westliche Richtung zu Boden gedrückt wurden und ein Kinderspielturm umstürzte (s. Bild 6-7 - FCS/1: ≥IF1). Auffällig ist, dass selbst leichte Gegenstände nur wenige Meter neben dem Kern der Schneise stehen blieben. Im weiteren Verlauf wurde das Ziegeldach eines Schuppens teilweise abgedeckt. Die Dachziegel wurden dabei in nördliche Richtung geworfen und teils aufgestellt (s. Bild 8 - BNTS/1: IF1). Schließlich kreuzte die Schneise ein Wohngebäude, dessen Dach flächig teilweise abgedeckt wurde (s. Bild 7-8 - BNSW/2: IF1).
(Bild 5-9 - ©Bocholt News)
Dachteile wurden bis zu mindestens 70 Meter weit in westsüdwestliche Richtung verfrachtet und verursachten mehrere Folgeschäden, unter anderem an einem Pkw und an Photovoltaikmodulen. Im weiteren Verlauf des «Böhmkeswegs» wurden mindestens vier weitere Dächer teilweise abgedeckt (s. Bild 9 - BNTS/1: IF1).
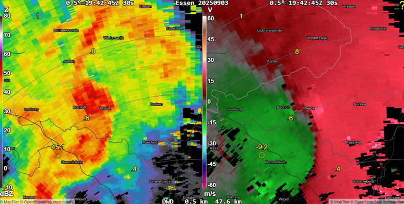
(Radarbilder - ©ESSL / DWD)
Wetteranalyse
von Marcus Beyer (DWD)
Am 03.09.2025 lag Deutschland auf der Vorderseite eines umfangreichen Trogsystems über Westeuropa. In den Langwellentrog waren mehrere kurzwellige Anteile eingelagert. Ein erster markanter Kurzwellentrog zog dabei am Nachmittag von Ostfrankreich nach Benelux und erreichte in den Abendstunden den Westen Deutschlands. Trogvorderseitig wurden feuchtlabile Luftmasse nach Deutschland verfrachtet. Die Prognosesoundings zeigten eine hochreichend labile Schichtung mit einem niedrigen Hebungskondensationsniveau. Die Prognosehodogrophen des ICON-D2 zeigten zudem eine starke Rechtsdrehung des Windes mit der Höhe, insbesondere in den untersten 500 m, die für die Tornadoentwicklung besonders wichtig sind. Einziges Manko war die späte Tageszeit und die Möglichkeit, dass die Grundschicht schon etwas stabilisiert haben könnte. Die Organisation entlang einer wellenden Kaltfront, konnte dieses Manko etwas beheben. Die Updraft Helicity tracks zeigten deutliche Hinweise für das Potential von rotierenden Zellen.
(DWD)
Bilder / Videos zur Verfügung gestellt von
Jörg Ölsner (www.fotomensch.de),
Bocholt News,
ESSL,
DWD
Zum Fall in der Tornadoliste
Kartenhintergrund ©Google
©TorKUD
