Bestätigt - 12.07.2024
Maximale Intensität
F1 T3 | IF1.5 (~ 180 km/h)
Datum & Uhrzeit
12.07.2024 | 15:50 MESZ
Tote/Verletzte
0/0
Betroffener Bereich
≥ 8.8 Kilometer lang
~ 100 Meter breit (max.) / ⌀ ~ 50 Meter breit
SSW - NNO
Betroffene Orte
Herzebrock, Marienfeld
(Übersicht zur Schneise - Icons = bekannte Schadensorte; Gelbe Pfeile = bekannte Fall-/Wirkungsrichtungen im Bereich | Video & Screenshot - ©Privat (Name bekannt))
Die ersten bekannten Auswirkungen durch den Tornado entstanden in der Straße «Hovesaat» in Herzebrock (51.885, 8.251), wo mindestens zwei Dächer beschädigt wurden (bis BNTS, DoD 1: IF1). Auf dem gegenüberliegenden Friedhof kamen vereinzelt große Bäume und Äste zu Fall (s. Bild 1-2 - TSA, DoD 1: IF1). Vergleichbare Schäden ziehen sich bis an die «Gütersloher Straße», wo ebenfalls mindestens ein Dach teilabgedeckt wurde (51.887, 8.251 - s. Bild 3). Viele der Schäden im Ort waren zum Zeitpunkt der Vor-Ort-Dokumentation bereits beseitigt.
(Bild 1-3 - ©TorKUD)
Im darauffolgenden Herzebrocker Begräbniswald nördlich der Gemeinde (51.888, 8.251) kam es nur äußerst punktuell zu meist leichten Vegetationsschäden (meist TRA, DoD 1: IF0.5). An der «Groppeler Straße» (51.897, 8.254) hinterließ der Tornado eine Schneise im Maisfeld (s. Bild 4) und entwurzelte einen Baum am linken Schneisenrand in südöstliche Richtung. Nach Überquerung der Straße wurden in einem kleinen Baumbestand (51.901, 8.256) auf wenigen Metern Breite zahlreiche, teils große Äste nach Norden abgeknickt (s. Bild 5). Im nördlich angrenzenden Feld setzt kurz vor einem weiteren Baumbestand erneut eine deutliche Feldspur ein, bevor mehrere Bäume entwurzelt und abgeknickt wurden (s. Bild 6 - TSA, DoD 2: IF1).
(Bild 4-6 - ©TorKUD)
(Bild 7 - ©TorKUD)
Auf Feldern zwischen dem «Tecklenburger Weg» und dem «Mühlenfeld» (51.915, 8.261) entstand eine knapp 900 Meter lange Feldspur (s. Bild 7). Nördlich des «Mühlenfelds» (51.926, 8.265) verursachte der Tornado eine weitere geschwungene Spur im Feld und brachte in einer darauffolgenden Baumreihe zahlreiche Bäume in einem schmalen Bereich zu Fall (s. Bild 8-10 - TSA, DoD 3: IF1.5). Eine Baumspitze wurde > 10 Meter weit auf das angrenzende Feld verfrachtet. Der Tornado überquerte kurz darauf die Ems und zog in den Wald an der Straße «Bredeck», wo im Radbereich einige Bäume beschädigt wurden. Der Wald wurde nicht genauer untersucht.
(Bild 8-10 - ©TorKUD)
Beim Austreten aus dem Wald verfrachtete der Tornado einige Äste auf ein Feld südlich der B513 (51.942, 8.273), auf dem es zu eindrucksvollen Spuren kam (s. Bild 11). Beim Überqueren der Bundestraße wurde ein Baum am rechten Schneisenrand in nordwestliche Richtung entwurzelt (s. Bild 11 - TRA, DoD 3: IF1). Auf der anderen Straßenseite hinterließ der Tornado auf etwa 350 Metern Länge markante Spuren im Maisfeld unmittelbar südlich des Ortseingangs von Marienfeld (s. Bild 12).
(Bild 11-12 - ©TorKUD)
In Marienfeld kam es zunächst in der «Bielefelder Straße» zu Schäden an einigen Bäumen, die teils entwurzelt wurden (s. Bild 13 - TRW, DoD 3: IF0.5) oder zahlreiche Äste verloren (s. Bild 14 - TRA, DoD 2: IF1). In der darauffolgenden «Abt-Ferdinand-Straße» (51.948, 8.277) wurde mindestens ein Dach minimal beschädigt (punktuell Ziegel abgedeckt/gelockert) und im nördlich angrenzenden Wald bis an die «Adenauerstraße» zahlreiche Bäume entwurzelt sowie viele, teils große Äste abgeknickt (s. Bild 15 - TSA, DoD 2: IF1).
(Bild 13-15 - ©TorKUD)
Auf der anderen Seite der «Adenauerstraße» kam es zu weiteren Vegetationsschäden (s. Bild 16). Zwischen der «Adenauerstraße» und der etwa 300 Meter weiter nördlich liegenden «Wadenhardstraße» (51.952, 8.279) an der punktuell kleine Bäume umstürzten und Äste abbrachen, konnten zum Zeitpunkt der Vor-Ort-Dokumentation keine Schäden mehr festgestellt werden. Im Wohngebiet am «Kammerkamp» im Norden von Marienfeld (51.954, 8.279) fanden sich deutliche Auswirkungen des Tornados, der hier u. a. Zäune und Dächer beschädigte (s. Bild 17-18 - BNTS, DoD 1: IF1). Südlich der «Bussemasstraße» (51.956, 8.282) kam es zu den letzten bekannten Auswirkungen: Hier wurden zwei Bäume entwurzelt und eine schmale Schneise im Feld hinterlassen (s. Bild 19 - TRA, DoD 3: IF1).
(Bild 16-19 - ©TorKUD)
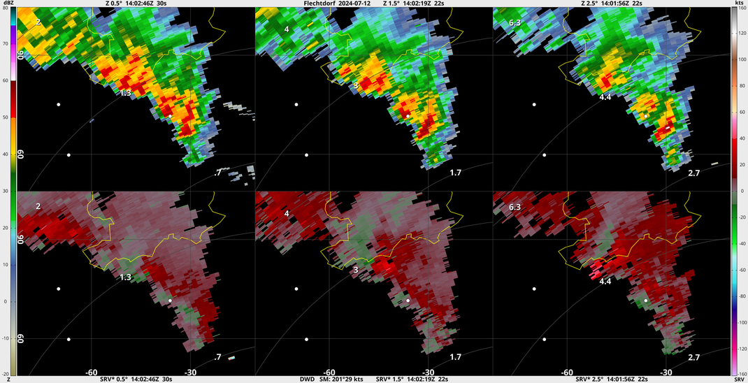
(Radarbilder - ©Bram van't Veen / NLradar | Weißer Punkt = Marienfeld)
Vorortdokumentation erfolgte am 14.07.2024 durch
Hendrik Sass (TorKUD)
Bilder / Videos zur Verfügung gestellt von
Bram van't Veen / NLradar
Zum Fall in der Tornadoliste
Kartenhintergrund ©Google
©TorKUD
